Đường dẫn truy cập

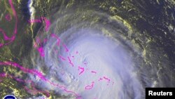
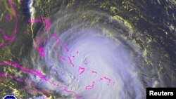
Joaquin tăng cường độ lên bão cấp 3


Cơ quan khí tượng quốc gia dự báo bão Joaquin sẽ thổi qua quần đảo Bahama vào ngày thứ Năm và thứ Sáu.
Cơ quan khí tượng quốc gia dự báo bão Joaquin sẽ thổi qua quần đảo Bahama vào ngày thứ Năm và thứ Sáu.

Trận cuồng phong Joaquin tăng cường độ lên thành bão cấp 3 trên đường thổi vào quần đảo Bahama.

Cơ quan khí tượng quốc gia của Mỹ ở Miami tối thứ Tư cho hay sức gió của bão Joaquin tăng lên tốc độ đều khoảng 185 kilômét/giờ.

Cơ quan khí tượng nói rằng bão có thể chuyển sang hướng tây bắc sau khi thổi qua vùng trung và tây bắc Bahama, và sẽ hướng vào các bang dọc theo bờ Ðại tây dương ở miền đông bắc Hoa Kỳ.

Cảnh báo cuồng phong được ban hành tại đảo Grand Bahama và New Providence, hai đảo có nhiều cư dân tập trung.

Các chuyên gia của Cơ quan khí tượng quốc gia ở Miami dự báo bão sẽ thổi qua quần đảo Bahama vào ngày thứ Năm và thứ Sáu. Dự báo xa hơn nói rằng bão Joaquin sẽ thổi đến bờ biển Mỹ vào khoảng Chủ nhật.

Đường đi của bão Joaquin sau khi thổi qua Bahama khó đoán được. Nhưng ít nhất một máy điện toán tính ra cơn bão này sẽ đi thẳng vào Vịnh Chesapeake của bang Virginia và bang Maryland vào Chủ nhật và thứ Hai với cường độ bão cấp 2. Đây là dự báo thời tiết đáng lo ngại cho các thành phố lớn trong khu vực như Washington, Baltimore và Philadelphia.

Một khả năng khác là bão đi ra biển, không thổi vào bờ.

Ngoài ra, một cơn áp thấp bao trùm miền đông nước Mỹ được dự đoán trong hai ngày thứ Năm và thứ Sáu với vài centimét nước mưa sẽ đổ xuống.

XS
SM
MD
LG