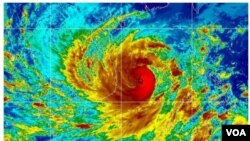
Bão Molave – trận bão thứ chín trong năm nay tại Việt Nam – đã vào biển Đông. sáng 27 tháng 10, Trung tâm Dự báo Khí tượng – Thủy văn Việt Nam loan báo sức gió ở vùng gần tâm bão từ cấp 13, đến cấp 14 (135 km/h - 165km/h), giật cấp 17 (202 km/h – 220 km/h). Nếu không có gì thay đổi, bão Molave sẽ chạm đất liền vào ngày mai 28 tháng 10 (1). Miền Trung Việt Nam, vốn đã tan hoang vì mưa bão, lũ lụt, sạt lở liên tục trong cả tháng vừa qua, giờ sẽ tiếp tục hứng chịu hậu quả của siêu bão này!
***
Ngày 25 tháng 10, do ảnh hưởng của bão Saudel – trận bão thứ tám trong năm nay tại Việt Nam – khu vực phía Bắc miền Trung lại có mưa lớn. Dẫu đang loay hoay khắc phục hậu quả của lũ lụt, chính quyền tỉnh Thừa Thiên – Huế vẫn phải ra lệnh cho bộ phận quản lý các hồ chứa nước dành cho thủy lợi, thủy điện xả nước để đón đợt lũ mới (2). Ngoài Thừa Thiên – Huế, nhiều tỉnh khác như: Hà Tĩnh, Quảng Nam, Phú Yên,… cũng đã ban hành yêu cầu tương tự (3).
Ngày 26 tháng 10, Thủ tướng Việt Nam đặt các tỉnh từ Nghệ An đến Khánh Hòa trong tình trạng rủi ro thiên tai do áp thấp nhiệt đới - bão cấp bốn – rủi ro rất lớn (thấp nhất là cấp ba – rủi ro lớn, cao nhất là cấp 5 – thảm họa). Theo dự tính, hệ thống công quyền phải di tản khoảng 1,3 triệu người. Siêu bão không chỉ tạo ra một đợt lụt mới, nhấn chìm nhiều khu vực mà còn có thể gây sạt lở, lũ quét. Chẳng hạn riêng Khánh Hòa đã có 174 điểm có thể sạt lở, đe dọa tính mạng, tài sản của hơn 23.000 người (4)…
***
Nguy cơ về một đợt mưa bão, lũ lụt, sạt lở mới dường như đã xóa nhòa những yếu kém, lỗi lầm trong quản lý – bảo vệ rừng, lập – duyệt – cho phép thực hiện các dự án thủy điện vừa và nhỏ tiếp tục hiển thị ở đợt mưa bão, lũ lụt, sạt lở vừa qua.
Chính phủ lờ đi yêu cầu hồi tháng 3 năm 2017 đối với các bộ hữu trách (Công Thương, Tài nguyên – Môi trường, Nông Nghiệp – Phát triển nông thôn: Gia tăng kiểm soát quy hoạch, đầu tư, xây dựng, vận hành các công trình thủy điện. Hoàn thiện quy trình vận hành các hồ chứa để vừa bảo đảm hiệu quả phát điện, vừa đáp ứng nhu cầu sử dụng nước ở khu vực hạ du trong mùa khô, cắt - giảm lũ và các tác động tiêu cực trong mùa mưa, buộc chủ đầu tư các dự án thủy điện trồng rừng thay thế ngay lập tức (5)…
Kỳ họp thứ 10 của Quốc hội khóa này khai mạc ngay sau khi xảy ra hai vụ sạt lở ở lưu vực Rào Trăng (huyện phong Điền, tỉnh Thừa Thiên – Huế) nhưng không có đại biểu nào bận tâm, thay dân chất vấn: Tại sao Viện Khoa học Địa chất và Khoáng sản đã cảnh báo đó là khu vực có nhiều đứt gãy, vật liệu bở rời, hỗn độn, liên kết kém, địa hình dốc, nguy cơ trượt lở đất sẽ diễn ra khi có mưa và cắt xẻ để làm đường, lấy mặt bằng xây dựng nhà ở khiến mất cân bằng (6)?...
Bởi không có cá nhân nào đại diện cho ý chí, nguyện vọng của nhân dân, yêu cầu xem xét trách nhiệm của các viên chức hữu trách từ trung ương đến địa phương đã chia nhau cấp giấy phép đầu tư bốn công trình thủy điện ở lưu vực Rào Trăng (A Lin B1, A Lin B2, Rào Trăng 3, Rào Trăng 4), nên ông Đặng Ngọc Nghĩa (Đại biểu của Thừa Thiên – Huế , Ủy viên Thường trực Ủy ban Quốc phòng và An ninh của Quốc hội Việt Nam), mới mạnh dạn phân bua hai vụ sạt lở ấy chỉ là… rất đáng tiếc vì… bất khả kháng (7).
Chẳng riêng ông Nghĩa thản nhiên bày tỏ… bất ngờ vì mưa lớn nhiều ngày ở miền Trung và… không ngờ đến hiện tượng sạt lở lũ quét, ông Trần Hồng Hà (Đại biểu Quốc hội, Bộ trưởng Tài nguyên – Môi trường), vừa khoe kết quả hoạt động của bộ này đối với quản lý thủy điện, vừa khẳng định không thể phát triển thủy điện nhỏ bằng mọi giá, không nhất thiết phải áp dụng hình thức ‘suy đoán vô tội, với thủy điện nhỏ trong các phân tích về mưa lũ, về môi trường, vừa ỡm ờ - không phát triển thủy điện nhỏ bằng mọi giá (8)…
Không phải tự nhiên mà ông Nghĩa, ông Hà, các ông, bà khác trong chính phủ, quốc hội hoặc làm thinh hoặc lập lờ về trách nhiệm, giải pháp. Ông Nghĩa tiết lộ: Thủy điện nhỏ vẫn tồn tại trong quy hoạch với những hình hài mới vì hồi tháng 2 năm nay, Bộ Chính trị đã ban hành một nghị quyết (Nghị quyết số 55-NQ/TW) về phát triển nhanh và bền vững của ngành điện đã xác định “phát triển có chọn lọc, bổ sung một số thủy điện nhỏ và vừa, thủy điện tích năng” để đáp ứng yêu cầu công nghiệp hóa, hiện đại hóa!
***
Hóa ra không thể tìm kiếm nguyên nhân, xác lập giải pháp khả thi nhằm giảm thiểu tình trạng dân lành uổng mạng, trắng tay, vất vả - rủi ro không ngừng gia tăng do lũ càng ngày càng mạnh, lụt càng ngày càng lớn và rất dài, sạt lở khắp nơi… là vì có… nghị quyết! Chưa biết hậu quả của bão Molave sẽ như thế nào, ở mức nào nhưng có thế nào và hậu quả thảm khốc ra sao thì cũng phải nhớ không phát triển thủy điện nhỏ bằng mọi giá có nghĩa là tiếp tục phát triển thủy điện nhỏ với giá do lương dân… chi trả!
Chú thích
(1) https://plo.vn/thoi-su/bao-so-9-da-manh-len-cap-14-giat-cap-17-946387.html
(2) https://tuoitre.vn/hue-yeu-cau-thuy-dien-xa-nuoc-don-lu-2020102607440663.htm
(6) https://plo.vn/thoi-su/thuy-dien-rao-trang-3-tung-bi-canh-bao-ve-nguy-co-truot-lo-cao-944122.html
(8) https://congthuong.vn/van-de-thuy-dien-nho-phai-duoc-nhin-nhan-ro-rang-146202.html
 
 
 
 
 
 
 
 
 
 
